Van Rijckevorselweg 2
Omschrijving
Sommige plekken hebben iets bijzonders. Een bepaalde rust, ruimte en vrijheid die je niet vaak tegenkomt. Deze vrijstaande woning met vrijstaande mantelzorgwoning en bijgebouwen, gelegen aan de rand van het dorp en uitkijkend over de landerijen, is zo’n plek. Een plek waar generaties zijn opgegroeid, waar met zorg is gebouwd, verbouwd en onderhouden, en waar nu een nieuwe toekomst wacht. Het gevoel van buiten wonen is hier dagelijks tastbaar. Vrij uitzicht, volop privacy en een perceel met mogelijkheden, zoals bijvoorbeeld dieren houden of zelfvoorzienend leven, van mantelzorg tot werken aan huis. En toch woon je hier verrassend centraal, met goede verbindingen naar omliggende dorpen en steden. De bestemming is agrarisch met landschapswaarden, waardoor het op dit moment alleen geschikt is voor agrarische bedrijfsuitoefening.
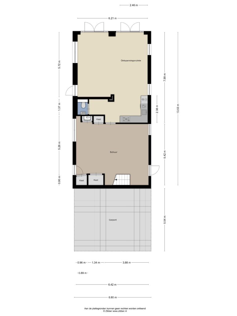
Het woonhuis Van Rijckevorselweg 2 werd in 1972 gebouwd door de ouders van de huidige eigenaar en staat stevig op de fundering van vakmanschap en liefde voor de plek. In 2017 is de volledige begane grond grondig aangepakt. De vloer werd tot op het zand uitgebroken, geïsoleerd en voorzien van comfortabele vloerverwarming. Ook het leidingwerk, de riolering en de elektra zijn vernieuwd, en meerdere kozijnen en ramen zijn vervangen door moderne, goed isolerende varianten. De meterkast is aangepast aan de eisen van nu, met onder andere krachtstroom, glasvezel en meerdere aardlekschakelaars. Op de begane grond bevindt zich een L-vormige woonkamer met een open keuken en openslaande tuindeuren, een slaapkamer/werkkamer en douche zorgen voor de mogelijkheid om gelijkvloers te wonen en de praktische bijkeuken biedt extra opbergruimte. Op de verdieping dateert de afwerking grotendeels uit 2001, met een functionele badkamer en nette kamers. De oorspronkelijke garage uit 1972 is in 2015 deels omgebouwd tot ontspanningsruimte, met een keuken, toilet, tegelvloer, dubbel glas en een eigen cv-installatie. Het voorste deel doet nog altijd dienst als ruime garage met daarboven een royale bergzolder.
Naast het woonhuis biedt dit erf nog veel meer. Op het perceel staat een vrijstaande mantelzorgwoning uit 1995, volledig geïsoleerd en voorzien van eigen cv-installatie, met een aangebouwde serre waar je vier seizoenen van het uitzicht kunt genieten. De woonkamer heeft een gesloten keuken, een toiletruimte, een slaapkamer en badkamer op de begane grond. De garage is inpandig te bereiken. Op de de eerste verdieping bevinden zich nog twee slaapkamers. Verder vind je op het terrein diverse bijgebouwen, een grote kas uit 1996, een houten opslagruimte, en een overkapping waar je caravan of camper onder past. De 36 zonnepanelen (geplaatst in 2014) zorgen voor een flinke bijdrage aan het gezamenlijk verbruik, en verkeert het schilderwerk in goede staat dankzij regelmatig onderhoud.
En hoewel er enkele praktische aandachtspunten zijn, staat daar een zee aan potentie tegenover.
Deze woning biedt een zeldzame combinatie van ruimte, ligging, historie en mogelijkheden. Een erf dat generaties heeft gediend, en waar jij nu jouw eigen toekomst kunt vormgeven. Kom langs en laat het op je inwerken, want dit is een plek die je moet voelen.
Bijzonderheden:
– Vrijstaande woning (nr 2), vrijstaande mantelzorgwoning (nr 2A) met bijgebouwen
– Gelegen op een prachtige locatie
– Bestemming Agrarisch met landschapswaarden
– Indeling woonhuis van Rijckevorselweg 2: L-vormige woonkamer met open keuken
– Royale entree met toilet en trapopgang
– Slaapkamer en badkamer op de begane grond
– Royale bijkeuken
– Vier ruime slaapkamers
– Tweede badkamer met ligbad, toilet, inloopdouche en dubbele wastafel
– Ruime bergzolder
– Vrijstaande ontspanningsruimte met keuken, toilet en schuur
– Indeling mantelzorgwoning van Rijckevorselweg 2A: Woonkamer met zit- en eetgedeelte
– Gesloten keuken met hoekopgesteld keukenmeubel
– Royale serre met schuifpui
– Royale slaapkamer en badkamer op de begane grond
– Inpandige garage en extra kast-/bergruimte
– Twee royale slaapkamers op de verdieping
– Bergzolder
– Veldschuur, overkapping en grote kas
– Bestemmingsplanvoorschriften zullen toegevoegd worden in Move
Kenmerken per woning:
Van Rijckevorselweg 2:
Woonoppervlakte: 312 m²
Inhoud: 1341 m³
Bouwjaar: 1972
Energielabel C
Van Rijckevorselweg 2A:
Woonoppervlakte: 192 m²
Inhoud: 712 m³
Bouwjaar: 1995
Energielabel A
Locatie:
– Gelegen in het buitengebied met vrij uitzicht
– Vinkel behoort tot de gemeente ‘s Hertogenbosch
– Het is een gemoedelijk Brabants kerkdorp
– Er zijn basisvoorzieningen zoals een basisschool en supermarkt.
– Voor overige voorzieningen kunt u terecht in het naburige dorp Heesch
– Binnen vijf minuten bent u bij de oprit naar de A59, de snelweg richting Den Bosch of Nijmegen
Kenmerken
Overdracht
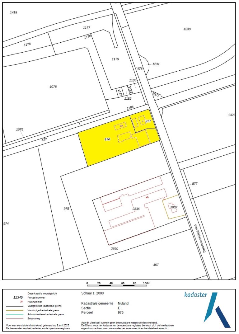
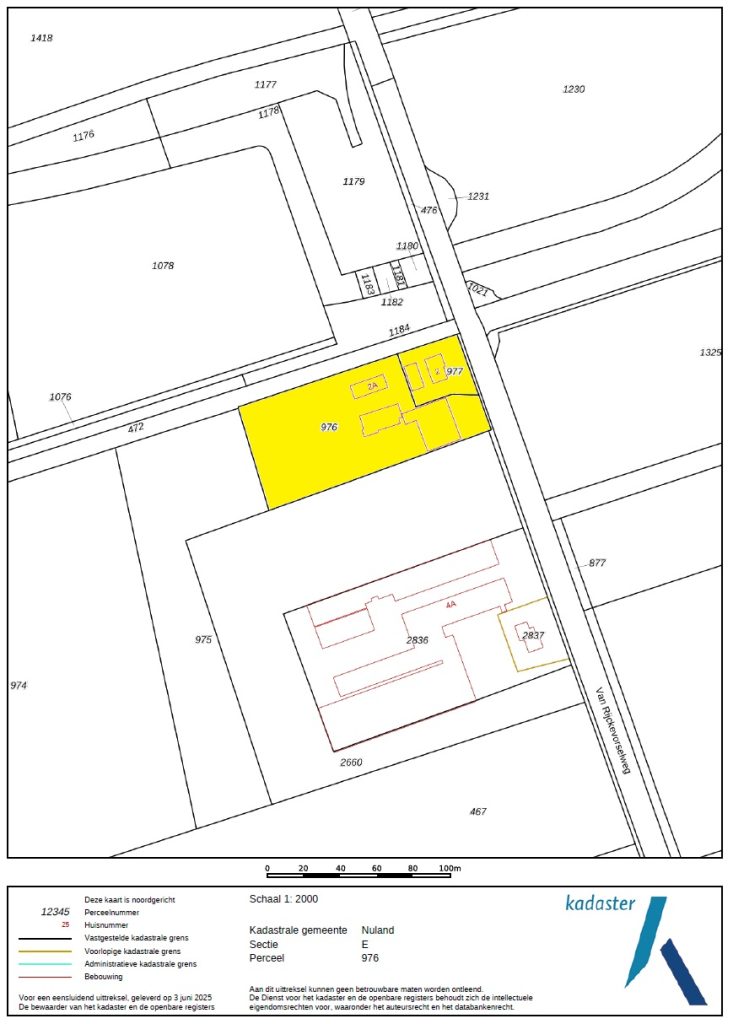
- Oppervlakte: 540 m2
- Perceeloppervlakte: 7320 m2
- Status: Verkocht
Bouw
- Ligging: Landelijk gebied
Omschrijving
Sommige plekken hebben iets bijzonders. Een bepaalde rust, ruimte en vrijheid die je niet vaak tegenkomt. Deze vrijstaande woning met vrijstaande mantelzorgwoning en bijgebouwen, gelegen aan de rand van het dorp en uitkijkend over de landerijen, is zo’n plek. Een plek waar generaties zijn opgegroeid, waar met zorg is gebouwd, verbouwd en onderhouden, en waar nu een nieuwe toekomst wacht. Het gevoel van buiten wonen is hier dagelijks tastbaar. Vrij uitzicht, volop privacy en een perceel met mogelijkheden, zoals bijvoorbeeld dieren houden of zelfvoorzienend leven, van mantelzorg tot werken aan huis. En toch woon je hier verrassend centraal, met goede verbindingen naar omliggende dorpen en steden. De bestemming is agrarisch met landschapswaarden, waardoor het op dit moment alleen geschikt is voor agrarische bedrijfsuitoefening.
Het woonhuis Van Rijckevorselweg 2 werd in 1972 gebouwd door de ouders van de huidige eigenaar en staat stevig op de fundering van vakmanschap en liefde voor de plek. In 2017 is de volledige begane grond grondig aangepakt. De vloer werd tot op het zand uitgebroken, geïsoleerd en voorzien van comfortabele vloerverwarming. Ook het leidingwerk, de riolering en de elektra zijn vernieuwd, en meerdere kozijnen en ramen zijn vervangen door moderne, goed isolerende varianten. De meterkast is aangepast aan de eisen van nu, met onder andere krachtstroom, glasvezel en meerdere aardlekschakelaars. Op de begane grond bevindt zich een L-vormige woonkamer met een open keuken en openslaande tuindeuren, een slaapkamer/werkkamer en douche zorgen voor de mogelijkheid om gelijkvloers te wonen en de praktische bijkeuken biedt extra opbergruimte. Op de verdieping dateert de afwerking grotendeels uit 2001, met een functionele badkamer en nette kamers. De oorspronkelijke garage uit 1972 is in 2015 deels omgebouwd tot ontspanningsruimte, met een keuken, toilet, tegelvloer, dubbel glas en een eigen cv-installatie. Het voorste deel doet nog altijd dienst als ruime garage met daarboven een royale bergzolder.
Naast het woonhuis biedt dit erf nog veel meer. Op het perceel staat een vrijstaande mantelzorgwoning uit 1995, volledig geïsoleerd en voorzien van eigen cv-installatie, met een aangebouwde serre waar je vier seizoenen van het uitzicht kunt genieten. De woonkamer heeft een gesloten keuken, een toiletruimte, een slaapkamer en badkamer op de begane grond. De garage is inpandig te bereiken. Op de de eerste verdieping bevinden zich nog twee slaapkamers. Verder vind je op het terrein diverse bijgebouwen, een grote kas uit 1996, een houten opslagruimte, en een overkapping waar je caravan of camper onder past. De 36 zonnepanelen (geplaatst in 2014) zorgen voor een flinke bijdrage aan het gezamenlijk verbruik, en verkeert het schilderwerk in goede staat dankzij regelmatig onderhoud.
En hoewel er enkele praktische aandachtspunten zijn, staat daar een zee aan potentie tegenover.
Deze woning biedt een zeldzame combinatie van ruimte, ligging, historie en mogelijkheden. Een erf dat generaties heeft gediend, en waar jij nu jouw eigen toekomst kunt vormgeven. Kom langs en laat het op je inwerken, want dit is een plek die je moet voelen.
Bijzonderheden:
– Vrijstaande woning (nr 2), vrijstaande mantelzorgwoning (nr 2A) met bijgebouwen
– Gelegen op een prachtige locatie
– Bestemming Agrarisch met landschapswaarden
– Indeling woonhuis van Rijckevorselweg 2: L-vormige woonkamer met open keuken
– Royale entree met toilet en trapopgang
– Slaapkamer en badkamer op de begane grond
– Royale bijkeuken
– Vier ruime slaapkamers
– Tweede badkamer met ligbad, toilet, inloopdouche en dubbele wastafel
– Ruime bergzolder
– Vrijstaande ontspanningsruimte met keuken, toilet en schuur
– Indeling mantelzorgwoning van Rijckevorselweg 2A: Woonkamer met zit- en eetgedeelte
– Gesloten keuken met hoekopgesteld keukenmeubel
– Royale serre met schuifpui
– Royale slaapkamer en badkamer op de begane grond
– Inpandige garage en extra kast-/bergruimte
– Twee royale slaapkamers op de verdieping
– Bergzolder
– Veldschuur, overkapping en grote kas
– Bestemmingsplanvoorschriften zullen toegevoegd worden in Move
Kenmerken per woning:
Van Rijckevorselweg 2:
Woonoppervlakte: 312 m²
Inhoud: 1341 m³
Bouwjaar: 1972
Energielabel C
Van Rijckevorselweg 2A:
Woonoppervlakte: 192 m²
Inhoud: 712 m³
Bouwjaar: 1995
Energielabel A
Locatie:
– Gelegen in het buitengebied met vrij uitzicht
– Vinkel behoort tot de gemeente ‘s Hertogenbosch
– Het is een gemoedelijk Brabants kerkdorp
– Er zijn basisvoorzieningen zoals een basisschool en supermarkt.
– Voor overige voorzieningen kunt u terecht in het naburige dorp Heesch
– Binnen vijf minuten bent u bij de oprit naar de A59, de snelweg richting Den Bosch of Nijmegen